2010-05-11
11/05/2010 Descubren unas islas sumergidas en el Caribe


 

Fuente: www.diariovasco.com

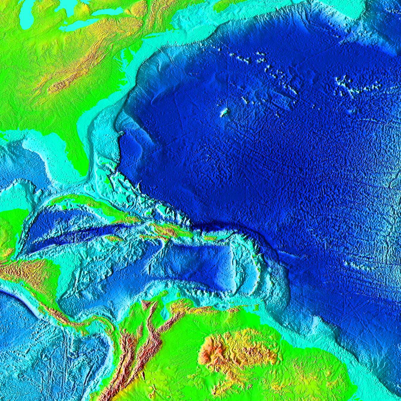
Frente a las costas de Colombia y Venezuela, en el mar Caribe, un grupo de científicos alemanes ha descubierto varias islas sumergidas hace millones de años, a una profundidad de entre 800 y 1.000 metros, según ha informado la Universidad de Greifswald, al noreste de Alemania. En barridos del fondo marino efectuados con cestos especiales por el buque germano de investigaciones científicas 'Meteor', los expertos sacaron a la superficie restos fosilizados de corales, conchas, caracoles y bulbos de algas rojas. Todos estos animales y plantas marinas solo se encuentran en aguas superficiales muy iluminadas, según han explicado desde la Universidad de Greifswald, donde un portavoz ha comentado que también descubrieron rocalla de basalto, lo que demuestra que las montañas submarinas fueron antiguamente islas caribeñas. "El resultado nos ha sorprendido mucho y demuestra que el mar Caribe fue ya hace millones de años una pelota en el juego entre las dos placas continentales americanas", ha explicado Martin Meschede, de la Universidad de Greifswald. El científico ha señalado que en las investigaciones han participado expertos del instituto de investigaciones geomarinas "IFM Geomar" de Kiel, la Oficina Federal de Ciencias Geofísicas y Materias Primas de Hannover y la citada universidad. Añadie que la campaña científica desarrollada en los pasados meses de marzo y abril tenía como fin recoger muestras de los sedimentos del fondo marino en aguas profundas frente a las costas de Colombia y Venezuela. Sin embargo, los resultados de las investigaciones indican que hace 80 a 90 millones de años se produjo un gran flujo de basalto que dio lugar a la elevación de una meseta sobre la superficie marina.

La zona investigada tiene una superficie mínima del tamaño de media Alemania, según el geólogo, que ha indicado que dicha plataforma, sobre la que se sitúan las islas sumergidas, se encuentra ahora a una profundidad de entre 1.600 y 1.800 metros. Los restos recogidos por las cestas gigantes de acero que arrastró el buque científico alemán por el fondo marino caribeño "solo pudieron originarse en contacto con el aire, en la desembocadura de ríos o zonas costeras, señala Meschede". Asimismo comenta que decenas de millones de años después, la meseta se descompuso debido a enormes fuerzas geotectónicas y acabaron hundiéndose. Sin embargo, en las cumbres de las montañas de la meseta se formaron hace 40 a 50 millones de años arrecifes de coral, cuyo crecimiento pudo al principio armonizar con el hundimiento de la plataforma, hasta que este fue tan rápido que se los llevó también al fondo marino.

 

 

<ATRAS

Copyright (c) 2001 BUCEO XXI - S.G.I. Asociados - Todos los derechos reservados